Terrenos en venta en Av. de La Constituciỏn

Onzonilla
250.000 €
4867 m2 4867 m2

Terrenos en venta en Av. de La Constituciỏn

Onzonilla

Descripción anuncio

Agencia inmobiliaria de LEÓN zona SAN MAMÉS - Oficina Tecnocasa de LEÓN

TECNOCASA VENDE SOLAR EDIFICABLE EN TORNEROS DEL BERNESGA:

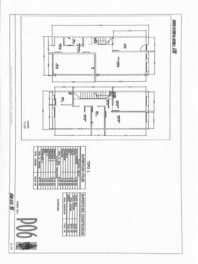
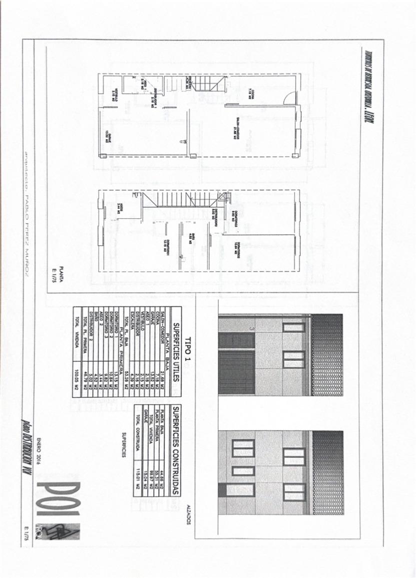
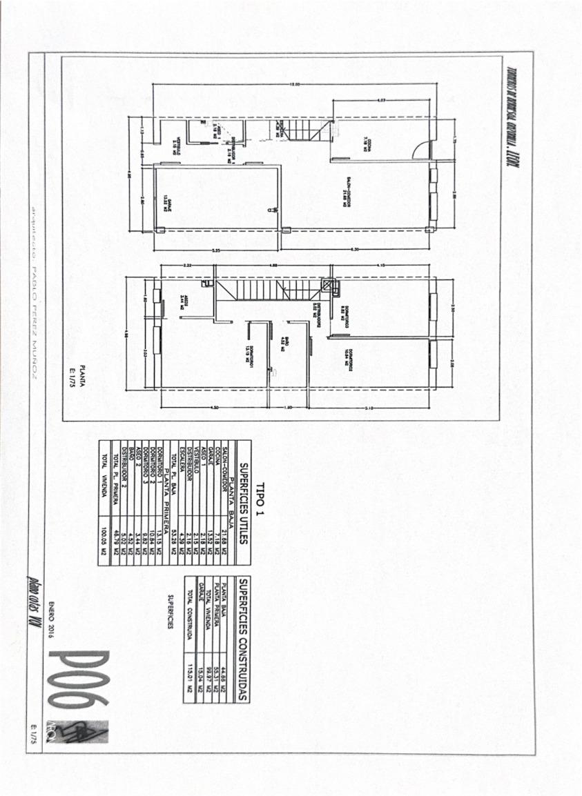
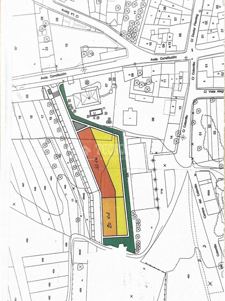
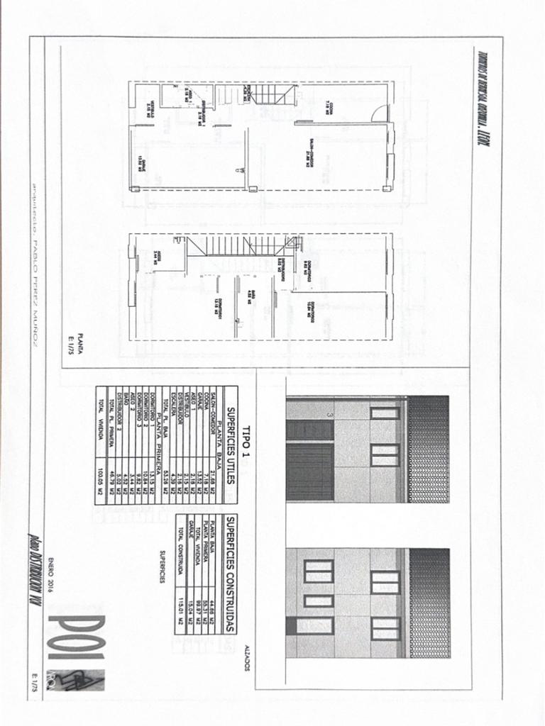
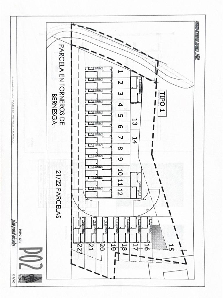
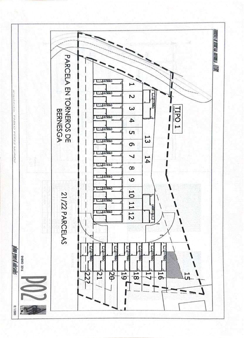
Nos encontramos con 2 Terrenos en Torneros de Bernesga, ambos cuentan con una superficie total de 3857,1 metros cuadrados en Suelo Urbano; ideales para la construcción de 20-22 adosados.

El pueblo se encuentra a 10 minutos del Centro de León, además cuentan con todas las acometidas y suministros.

Es una oportunidad ideal para constructores, ya que se pueden construir 20-22 Chalets Adosados de 115 metros, además cuentan con la Autorización Municipal

TECNOCASA, la red inmobiliaria líder en el sector, con más de 30 años de experiencia y presencia en más de 11 países, cuenta con más de 940 oficinas en España. Ofrecemos valoraciones gratuitas de viviendas, gestionamos todo el proceso de post-venta tanto para compradores como para vendedores, y proporcionamos un asesoramiento completo sobre hipotecas, herencias, certificados, plusvalías y otros trámites.

Colaboramos con KÍRON, expertos intermediarios financieros que brindan asesoramiento gratuito y sin compromiso para conseguir las mejores condiciones de financiación.

Nuestros servicios incluyen:

Hipoteca primera vivienda.

Hipoteca cambio de vivienda.

Hipoteca 100%.

En Tecnocasa contamos con las mejores viviendas en León. Visítanos hoy mismo para encontrar la propiedad que siempre has soñado o aprovechar nuestra amplia cartera de inmuebles. ¡Tu futuro hogar o inversión te está esperando!

¿Por qué elegirnos?

Asesoramiento personalizado en todas las fases de la compra o venta.

Amplia oferta de viviendas en San Mamés, Palomera, Mariano Andrés, Las Ventas, Navatejera, Villaobispo, ...

Garantía de éxito con más de 30 años en el sector y la confianza de miles de clientes satisfechos.

Ver más

Características

Ref.:
636253
Calefacción:
Independiente
Libre:
Tipo de inmueble:
Popular
Año de construcción:
1950
Ver más
Precio Precio
250.000 €
Cuota mensual Cuota mensual
€ 787 / mes

Clase energética

Este inmueble está exento de clase energética
Año de construcción:
1950

Servicios cercanos

Transporte público Transporte público
Transporte público
2,4 Km
Bar Bar
Cafetería
200 m
"Villanueva"
2,4 Km
restaurantes restaurantes
Mesón El Negro
1,5 Km
El Recuerdo
1,6 Km
Ver más

Calcula tu hipoteca

Simple y sin compromiso
Entrada
%
al mes
Hipoteca
%
El resultado de esta simulación es orientativo. Los datos indicados no corresponden a condiciones reales de productos y no implican compromiso, obligación o vínculo jurídico-legal para el Grupo Tecnocasa.

Solicita un asesoramiento

Introduce tus datos
GRACIAS POR CONTACTAR CON NOSOTROS.
Esta oficina de Kìron se pondrá en contacto contigo lo antes posible para ofrecerte un asesoramiento financiero más completo y acorde a la información que nos has facilitado.
Franquiciado
Estudio Ciudad De Leon Slu
Plza del Espolón, 2 Local 24007 León (LE)
Plza del Espolón, 2 Local 24007 León (LE) Zona: LEÓN - SAN MAMÉS
LUNES a VIERNES: 09:30 a 14:00 - 17:00 a 21:00 - SÁBADOS: 10:00 a 14:00

Nuestro equipo


  • Adrian Martin
    Colaborador

  • Gonzalo Fernández
    Responsable

  • Alberto Martinez Campos
    Auxiliar Administrativo

  • Lucas Rodriguez
    Colaborador

  • David Crespo
    Colaborador

  • Alejandro Tasis
    Franquiciado
Franquiciado
Estudio Ciudad De Leon Slu
Plza del Espolón, 2 Local 24007 León (LE)

Franquiciado
Estudio Ciudad De Leon Slu
Franquiciado
Estudio Ciudad De Leon Slu

2025 Ibero Group Tecnocasa Services, S.L.U. - CIF B-65870776 - C/ Pallars, nº 1-3 Parque de Negocios Mas Blau II, 08820, El Prat de Llobregat (Barcelona-España). Red en franquicia - Cada sociedad franquiciada tiene su propio titular y es independiente del franquiciador.

Política de privacidad | Aviso legal | Pólitica de las Cookies | Información al consumidor | | Canal ético